Заступник міського голови Івано-Франківська Михайло Смушак опублікував на своїй сторінці у соціальній мережі Фейсбук допис про те, що наразі у центрі міста (вулиці Січових Стрільців, Незалежності, Мельника, Української перемоги) планують змінити схему руху для автотранспорту та автобусів. Наразі цей проєкт тільки на стадії розвитку і він запропонував обговорити його під своїм постом, повідомляє читачів інформаційний ресурс Правда іф.
Пост вже викликав цілу хвилю гнівних коментарів
Пост називається: Січових Стрільців: як краще організувати рух?
Нагадуємо, вул. Січових Стрільців в Івано-Франківську:
• Від Незалежності до Є. Коновальця – двостороння.
• На іншій ділянці – одностороння.
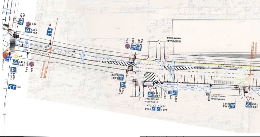
Разом із фахівцями ТОВ «Урбан прогрес» франківські посадовці змоделювали різні варіанти організації руху.
Питання №1:
Які плюси і мінуси двостороннього руху по СІчових стрільців на відрізку від вул. Є. Коновальця до вул. Незалежності?
Наразі:
• з вул. Є. Коновальця праворуч на вул. Січових стрільців можуть їхати лише автобуси (так-звана контрсмуга громадського транспорту);
• на іншій частині (від Шашкевича до Шевченка) діє виділена смуга для автобусів у зворотному напрямку).
Висновок після моделювання:
Оптимальне рішення – зробити Січових Стрільців односторонньою на всій протяжності від Незалежності до Г. Мазепи.
При цьому облаштувати виділену смугу для громадського транспорту та велосипедистів по всій протяжності.
Це дозволить автобусам рухатися без постійних заторів.
А що з маршрутами автобусів, які зараз повертають з Коновальця на Січових стрільців праворуч?
Таких десять: 41, 21, 30, 45, 48, а також так-звані «сільські» – 47 (Братківці), 56 (Чукалівка), 57 (Березівка), 58 (Камінне), 59 (Радча).
Для них пропонується змінити маршрут:
Є. Коновальця → Сахарова → Мельника → Незалежності → далі по існуючому маршруту.
На вул. Мельника облаштуємо дві зупинки громадського транспорту:
• біля Пенсійного фонду;
• біля «Квіткового ринку».
Посадовці вважають, що це буде навіть зручніше для багатьох пасажирів.
Загалом, від такого рішення, на думку Михайла Смушака, виграють усі, адже франківці отримають швидший і безпечніший рух без заторів громадського транспорту по вул. Січових Стрільців. Посадовець вважає також, що виграють і автомобілісти – вони не будуть стояти в одному заторі з автобусами, яких на Січових стрільців проїжджає чи не найбільше.
Над зміною запропонованої схеми руху вже йде робота. ЇЇ планують реалізувати паралельно із перенесенням світлофорів на вул. Січових Стрільців (про що повідомлялося раніше).
Що скажете про такі зміни в організації руху та нову схему для окремих маршрутів громадського транспорту? PS. Наведена в дописі схема організації дорожнього руху концептуальна і ще доопрацьовується, йдеться у висновку до викладеного допису
Журналіст, фрілансер. Закінчив факультет журналістики ЛНУ в 2008 році
журналістка, власкор регіональних та центральних ЗМІ. Закінчила Києво-Могилянську академію у 2019 році.